Menu
Get Access
Login
Advanced
Map Search
FBOs
Heliports
Update Fuel
Air Charter Guide
Marketplace
Products
Data Licenses
FAQ
Advertise
About Us
Follow Us:
Advanced
Map
Search
Access
Login
My Page
Log Out
KMEM - Frederick W Smith International/Memorial
Located in Memphis, TN, USA
ICAO - KMEM, IATA - MEM, FAA ID - MEM
IFRs
Weather
Clearance
Visa/Health
NOTAMs
5010 Data
Nearby
Trip Sheet
Airport Type
Civil
Lat/Long
N35-02.5/W089-58.6
Elevation (ft)
341
Fuel Available
AVGAS JET
Current UTC
11:38:56 PM (-6.00)
Approaches
ILS LOC GPS
Longest Primary Runway (ft)
11120 x 150, 18C/36C
Runway Surface
Concrete/Grooved
PCN
REGISTER
Local Standard Time
6:38:56 PM
More Airport Information
(Click to expand)
Airport Light Intensity
HIGH
Airport of Entry
Yes
Airport of Entry Remarks
REGISTER
Fire Category
C
Fire Category Remarks
PREMIUM
Customs
Yes
US Customs Pre-Clearance
Yes
Slots Required
No
Handling Mandatory
No
Airport Website
REGISTER
Airport Manager Phone
PREMIUM
Airport Ownership
REGISTER
Facility Use
REGISTER
DST
2nd Sun in Mar 0200L to 1st Sun in Nov 0200L
Sunrise
05:55 AM
Sunset
07:57 PM
Open 24 Hours
Restricted
Airport Hours
H24
Control Tower Hours
H24
Variation
01W
Distance from City
3 MILES S OF CITY
Tower Frequency
REGISTER
ATIS Frequency
REGISTER
Unicom Frequency
REGISTER
Airport General Remarks
PREMIUM
Customs Information
REGISTER
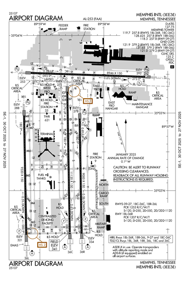
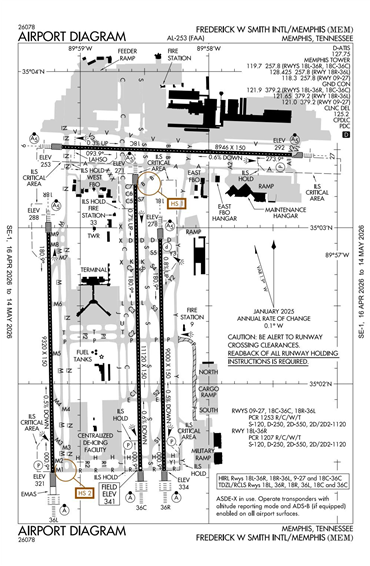
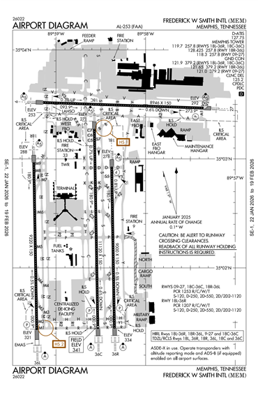
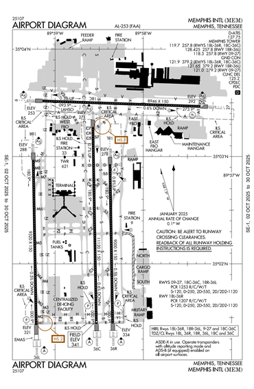
Runway Diagram
FAA Diagram
Google Satellite Map of KMEM
Sign in to View
This map is available to registered users only.
Sign In
Create Account
Airport Distance Calculator
From:
ICAO From is required.
The icao, was not found.
To:
ICAO To is required.
The icao, was not found.
Calculate
The distance from
to
is
Nautical Miles
Nautical Miles
Miles
Kilometers
Airport Restrictions and Information
Airport Information
Frequency
Phone / Fax
Email / Website
CUSTOMS GA LRA PPR - MIN 24 HOURS PN
Phone
+1 901 480 4000
Fax
+1 901 480 4093
PREMIUM
PREMIUM
ASOS
127.75
Phone
+1 901 332 3679
TOWER
Phone
+1 901 842 8458
Fax
+1 901 322 3351
CUSTOMS GA LRA PPR - MIN 24 HOURS PN
Phone
+1 901 480 4000
Fax
+1 901 480 4093
Email
PREMIUM
Website
PREMIUM
ASOS
Phone
+1 901 332 3679
TOWER
Phone
+1 901 842 8458
Fax
+1 901 322 3351
FBOs
FBO Name
Fuel Info
WILSON AIR CENTER MEM
Address
2930 Winchester Rd,
Memphis, TN 38118
Phone
+1 901 345 2992
Toll Free Phone
+1 888 444 0319
Fax
+1 901 345 1288
Email
Show Email
Website
Website
Frequency
129.275
Fuel Info
Brand
TITAN
SIGNATURE AVIATION
Address
REGISTER
Phone
REGISTER
Fax
REGISTER
Email
REGISTER
Website
REGISTER
Frequency
129.875
Remarks
INTERNATIONAL
Fuel Info
Brand
INDEPENDENT
Caterers
INTERNATIONAL
Phone
INTERNATIONAL
Tel After Hours
INTERNATIONAL
Fax
INTERNATIONAL
Email
INTERNATIONAL
Website
INTERNATIONAL
SITA
INTERNATIONAL
Maintenance
INTERNATIONAL
Phone
INTERNATIONAL
Toll Free
INTERNATIONAL
Email
INTERNATIONAL
Website
INTERNATIONAL
Hotels
Name and Contact Info
Address
Distance
Price range
Courtyard Memphis Arpt
Phone
REGISTER
Fax
REGISTER
Website
REGISTER
Address
REGISTER
Distance
5 Min
Price range
$105-170
Holiday Inn Memphis Airport
Phone
REGISTER
Fax
REGISTER
Website
REGISTER
Address
REGISTER
Distance
5 Min
Price range
$90-130
The Hotel Memphis
Phone
REGISTER
Fax
REGISTER
Website
REGISTER
Address
REGISTER
Distance
10 Min
Price range
$70-100
Hilton Garden Memphis/Southaven
Phone
REGISTER
Fax
REGISTER
Website
REGISTER
Address
REGISTER
Distance
15 Min
Price range
$100-120
Hilton Memphis
Phone
REGISTER
Fax
REGISTER
Website
REGISTER
Address
REGISTER
Distance
15 Min
Price range
$150-195
Crowne Plaza Memphis Downtown
Phone
REGISTER
Fax
REGISTER
Website
REGISTER
Address
REGISTER
Distance
20 Min
Price range
$180-210
Car Rental
REGISTER
REGISTER
REGISTER
REGISTER
REGISTER
REGISTER
REGISTER
REGISTER