KFPR - Treasure Coast International

Located in Fort Pierce, FL, USA

ICAO - KFPR, IATA - FPR, FAA ID - FPR

Airport Type 
Civil 
Lat/Long 
N27-29.8/W080-22.4 
Elevation (ft) 
23 
Fuel Available 
AVGAS JET 
Current UTC 
10:41:41 AM (-5.00) 
Approaches 
ILS/DME GPS 
Longest Primary Runway (ft) 
6492 x 150, 10R/28L 
Runway Surface 
Asphalt 
PCN 
033FAXT 
Local Standard Time 
5:41:41 AM 
More Airport Information (Click to expand)
Airport Light Intensity
MEDIUM
Airport of Entry
No
Airport of Entry Remarks
LRA & Designated Airport
Fire Category Remarks
Customs
Yes
US Customs Pre-Clearance
Yes
Slots Required
No
Handling Mandatory
No
Airport Website
Airport Manager Phone
Airport Ownership
Publicly Owned
Facility Use
Open to the Public
DST
2nd Sun in Mar 0200L to 1st Sun in Nov 0200L
Sunrise
07:07 AM
Sunset
06:02 PM
Open 24 Hours
No
Airport Hours
0700-2100L
Control Tower Hours
0700-2100L
Variation
07W
Distance from City
3 MILES NW OF CITY
Tower Frequency
128.2
ATIS Frequency
134.825
CTAF Frequency
128.2
Airport General Remarks
Customs Information
Phone:
+1 772 461 1733
1000-1800L 7 DAYS Also designated airport. Must secure permission to land by contacting CBP a minimum of 2 hours prior to departure from foreign. Park on the ramp at the FIS. Intl garbage will be processed by CBP officers.
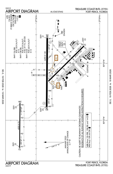
Runway Diagram
FAA Diagram FAA Diagram
Google Satellite Map of KFPR
Airport Distance Calculator
From:
To:

The distance from to is

Nautical Miles
Airport Restrictions and Information
Airport Information
Frequency
Phone / Fax
Email / Website
CUSTOMS GA LRA 2 HRS PPR
Phone
+1 772 461 1733
ASOS
Phone
+1 772 489 4281
TOWER
Phone
+1 772 465 0761
Fax
+1 772 461 5876
CUSTOMS GA LRA 2 HRS PPR
Phone
+1 772 461 1733
Website
ASOS
Phone
+1 772 489 4281
TOWER
Phone
+1 772 465 0761
Fax
+1 772 461 5876

FBOs

FBO Name
Fuel Info
Address
2982 Curtis King Blvd,
Fort Pierce, FL 34946
Phone
+1 772 489 2285
Tel After Hours
+1 772 489 2285
Fax
+1 772 468 0252
Email
Website
Frequency
129.025

Fuel Info

Brand TITAN
Prices Not Updated Last 90 DAYS
Prices Not Updated Last 90 DAYS
Hotels
Name and Contact Info
Address
Distance
Price range
Holiday Inn Exp Ft Pierce West
Phone
+1 772 464 5000
Fax
+1 772 461 9573
Website
Address
7151 Okeechobee Road
Fort Pierce FL 34945
USA
Distance
10 Min
Price range
$115-145
Hutchinson Isl Plaza
Phone
+1 772 595 0711
Website
Address
1230 Seaway Drive
Fort Pierce FL 34949
USA
Distance
10 Min
Price range
$130-200
Hampton Inn Fort Pierce
Phone
+1 772 828 4100
Fax
+1 772 828 4101
Website
Address
1985 Reynolds Drive
Fort Pierce FL 34945
USA
Distance
15 Min
Price range
$85-130
Car Rental
AVIS
Toll Free
+1 800 633 3469
Website
ENTERPRISE
HERTZ