KFAT - Fresno Yosemite International

Located in Fresno, CA, USA

ICAO - KFAT, IATA - FAT, FAA ID - FAT

Airport Type 
Civil 
Lat/Long 
N36-46.6/W119-43.1 
Elevation (ft) 
336 
Fuel Available 
AVGAS JET 
Current UTC 
10:03:07 AM (-8.00) 
Approaches 
ILS/DME GPS 
Longest Primary Runway (ft) 
9539 x 150, 11L/29R 
Runway Surface 
Asphalt/Grooved 
PCN 
075FAXT 
Local Standard Time 
2:03:07 AM 
More Airport Information (Click to expand)
Airport Light Intensity
HIGH
Airport of Entry
Yes
Airport of Entry Remarks
Airline alternate AOE; GA LRA & User Fee
Fire Category
B
Fire Category Remarks
Customs
Yes
US Customs Pre-Clearance
Yes
Slots Required
No
Handling Mandatory
No
Airport Email
Airport Website
Airport Manager Phone
Airport Ownership
Publicly Owned
Facility Use
Open to the Public
DST
2nd Sun in Mar 0200L to 1st Sun in Nov 0200L
Sunrise
07:03 AM
Sunset
05:20 PM
Open 24 Hours
No
Airport Hours
H24
Control Tower Hours
H24
Variation
13E
Distance from City
5 MILES NE OF CITY
Tower Frequency
118.2
ATIS Frequency
121.35
Unicom Frequency
122.95
Customs Information
Phone:
+1 559 456 6830
Fax:
+1 559 456 6843
1600-0400L Mo-Fr 2000-0400 SS Must secure permission to land by contacting CBP prior to departure from foreign and at least 72 hours in advance of arrival. Park at the FIS or the FBO as directed. Intl garbage will be collected by Signature FBO.
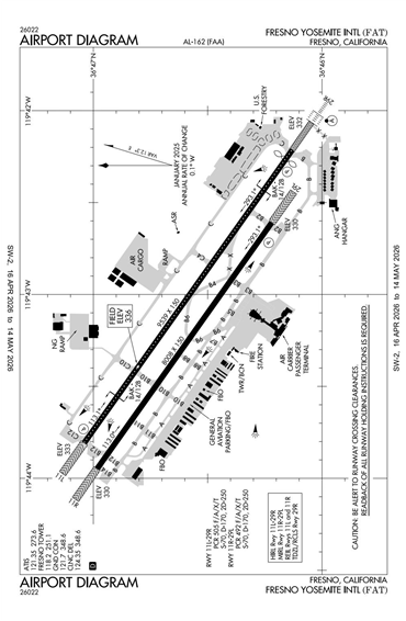
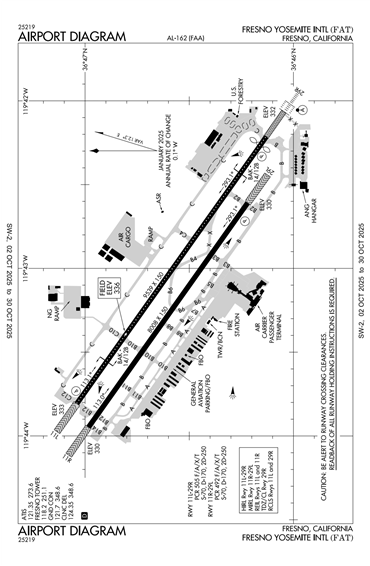
Runway Diagram
FAA Diagram FAA Diagram
Google Satellite Map of KFAT
Airport Distance Calculator
From:
To:

The distance from to is

Nautical Miles
Airport Restrictions and Information
Airport Information
Frequency
Phone / Fax
Email / Website
CUSTOMS USER FEE 3 DAYS PPR
Phone
+1 559 456 6830
Fax
+1 559 456 6843
ASOS
Phone
+1 559 255 3413
TOWER
Phone
+1 559 255 5754
Fax
+1 559 255 6819
CUSTOMS USER FEE 3 DAYS PPR
Phone
+1 559 456 6830
Fax
+1 559 456 6843
Website
ASOS
Phone
+1 559 255 3413
TOWER
Phone
+1 559 255 5754
Fax
+1 559 255 6819

FBOs

FBO Name
Fuel Info
Address
5007 E Andersen Ave,
Fresno, CA 93727
Phone
+1 559 251 1555
Toll Free Phone
+1 800 543 7768
Tel After Hours
+1 559 970 6179
Email
Website
Frequency
131.975

Fuel Info

Brand AVFUEL
Address
3050 N Winery Ave,
Fresno, CA 93703
Phone
+1 559 981 2490
Fax
+1 559 981 2598
Email
Website
Frequency
130.075
Remarks

Fuel Info

Brand INDEPENDENT
Prices Not Updated Last 90 DAYS
Prices Not Updated Last 90 DAYS
Hotels
Name and Contact Info
Address
Distance
Price range
Holiday Inn Airport
Phone
+1 559 252 3611
Fax
+1 559 456 8243
Website
Address
5090 East Clinton
Fresno CA 93727
USA
Distance
On Airport
Price range
$120-150
Fresno Airport Hotel
Phone
+1 559 251 5200
Fax
+1 559 454 0552
Website
Address
1551 N Peach Ave
Fresno CA 93727
USA
Distance
5 Min
Price range
$130-150
Piccadilly Inn Shaw
Phone
+1 559 348 5520
Website
Address
2305 West Shaw Avenue
Fresno CA 93711
USA
Distance
5 Min
Price range
$85-135
Hampton Inn Clovis Arpt North
Phone
+1 559 348 0000
Fax
+1 559 348 0001
Website
Address
855 Gettysburg Avenue
Clovis CA 93612
USA
Distance
10 Min
Price range
$120-160
Ramada University
Phone
+1 559 224 4040
Fax
+1 559 222 4017
Website
Address
324 East Shaw
Fresno CA 93710
USA
Distance
10 Min
Price range
$80-100
Marriott Courtyard Fresno
Phone
+1 559 221 6000
Fax
+1 559 221 0368
Website
Address
140 East Shaw Avenue
Fresno CA 93710
USA
Distance
15 Min
Price range
$140-170
Car Rental
AVIS
Phone
+1 559 454 5030
Toll Free
+1 800 633 3469
Website
BUDGET
Phone
+1 559 253 4100
DOLLAR
ENTERPRISE
Phone
+1 559 253 2700
HERTZ
Phone
+1 559 251 5055
NATIONAL