KBJC - Rocky Mountain Metropolitan/Jeffco

Located in Denver, CO, USA

ICAO - KBJC, IATA - BJC, FAA ID - BJC

Airport Type 
Civil 
Lat/Long 
N39-54.5/W105-07.0 
Elevation (ft) 
5673 
Fuel Available 
AVGAS JET 
Current UTC 
5:34:39 PM (-7.00) 
Approaches 
ILS/DME GPS 
Longest Primary Runway (ft) 
9000 x 100, 12L/30R 
Runway Surface 
Asphalt/Grooved 
PCN 
031FDWT 
Local Standard Time 
10:34:39 AM 
More Airport Information (Click to expand)
Airport Light Intensity
HIGH
Airport of Entry
No
Airport of Entry Remarks
Customs User Fee Airport
Fire Category
A
Fire Category Remarks
Customs
Yes
US Customs Pre-Clearance
Yes
Slots Required
No
Handling Mandatory
No
Airport Email
Airport Website
Airport Manager Phone
Airport Ownership
Publicly Owned
Facility Use
Open to the Public
DST
2nd Sun in Mar 0200L to 1st Sun in Nov 0200L
Sunrise
07:12 AM
Sunset
05:13 PM
Open 24 Hours
Restricted
Airport Hours
H24
Control Tower Hours
H24
Variation
09E
Distance from City
9 MILES NW OF CITY
Tower Frequency
118.6
ATIS Frequency
126.25
CTAF Frequency
118.6
Customs Information
Phone:
+1 303 271 4884
Fax:
+1 303 271 4875
0800-1600L Mo-Fr Must secure permission to land by contacting CBP prior to departure from foreign. Park in or near the red box in front of the main passenger terminal.
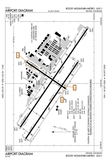
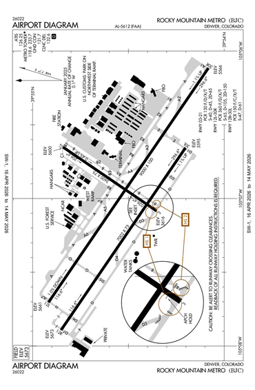
Runway Diagram
FAA Diagram FAA Diagram
Google Satellite Map of KBJC
Airport Distance Calculator
From:
To:

The distance from to is

Nautical Miles
Airport Restrictions and Information
Airport Information
Frequency
Phone / Fax
Email / Website
CUSTOMS USER FEES PPR
Phone
+1 303 271 4884
Fax
+1 303 271 4875
ATIS
126.25
Phone
+1 303 466 8744
AWOS
Phone
+1 720 887 8067
TOWER
Phone
+1 720 633 8610
CUSTOMS USER FEES PPR
Phone
+1 303 271 4884
Fax
+1 303 271 4875
Website
ATIS
Phone
+1 303 466 8744
AWOS
Phone
+1 720 887 8067
TOWER
Phone
+1 720 633 8610

FBOs

FBO Name
Fuel Info
Address
9107 Rocky Road,
Broomfield, CO 80021
Phone
+1 303 590 9654
Tel After Hours
+1 720 360 7641
Email
Website
Frequency
131.475

Fuel Info

Brand AVFUEL
Prices Not Updated Last 90 DAYS
Prices Not Updated Last 90 DAYS
Address
11705 Airport Way,
Broomfield, CO 80021
Phone
+1 303 466 2336
Toll Free Phone
+1 800 525 8139
Fax
+1 303 466 1524
Email
Website
Frequency
131.575

Fuel Info

Brand INDEPENDENT
Caterers
Maintenance
Detailer
Hotels
Name and Contact Info
Address
Distance
Price range
Renaissance Boulder Flatiron
Phone
+1 303 464 8400
Fax
+1 303 438 6699
Website
Address
500 Flatiron Blvd
Broomfield CO 80021
USA
Distance
5 Min
Price range
$180-240
Drury Inn Westminster
Phone
+1 303 460 1220
Website
Address
10393 Reed St
Westminster CO 80021
USA
Distance
10 Min
Price range
$80-120
Hyatt House Broomfield
Phone
+1 720 890 4811
Fax
+1 720 890 4812
Website
Address
13351 W. Midway Blvd
Broomfield CO 80020
USA
Distance
10 Min
Price range
$120-180
Residence Inn Broomfield
Phone
+1 303 466 7007
Website
Address
455 Zang St
Broomfield CO 80021
USA
Distance
10 Min
Price range
$80-120
Westin Westminster
Phone
+1 303 410 5000
Fax
+1 303 410 5005
Website
Address
10600 Westminster Boulevard
Westminster CO 80020
USA
Distance
10 Min
Price range
$145-165
Doubletree Denver Westminster
Phone
+1 303 427 4000
Fax
+1 303 426 1680
Website
Address
8773 Yates Drive
Westminster CO 80031
USA
Distance
15 Min
Price range
$145-195
Car Rental
AVIS
Toll Free
+1 800 633 3469
Website
ENTERPRISE
Phone
+1 303 460 1548
Website
GO RENTALS
Phone
+1 303 800 7731
Website
HERTZ
Phone
+1 303 465 0081
Fax
+1 303 465 9892
Website