KABY - Southwest Georgia Regional 
            Located in Albany, GA, USA
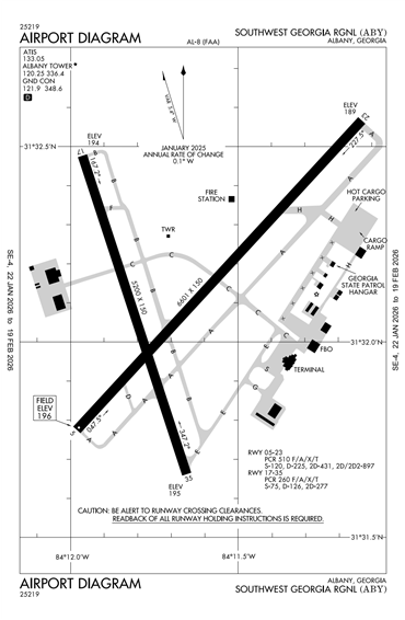
ICAO - KABY, IATA - ABY, FAA ID - ABY
            
            
            
                
                    
                            Airport Type 
                            Civil 
                        
                            Lat/Long 
                            N31-32.1/W084-11.7 
                        
                            Elevation (ft) 
                            196 
                        
                            Fuel Available 
                            AVGAS JET 
                        
                            Current UTC 
                            3:52:26 AM (-5.00) 
                        
                 
                
                    
                            Approaches 
                            ILS GPS VOR 
                        
                            Longest Primary Runway (ft) 
                            6601 x 150, 05/23 
                        
                            Runway Surface 
                            Asphalt/Grooved 
                        
                            PCN 
                            
                        
                            Local Standard Time 
                            10:52:26 PM 
                        
                 
                
             
            
                More Airport Information (Click to expand)
            
            
                
                    
                        
                                
                                    Airport Light Intensity
                                    HIGH
                                 
                            
                                
                            
                                
                            
                                
                            
                                
                            
                                
                            
                                
                                    US Customs Pre-Clearance
                                    No
                                 
                            
                                
                            
                                
                            
                                
                            
                                
                            
                                
                            
                                
                            
                     
                    
                        
                                
                                    DST
                                    2nd Sun in Mar 0200L to 1st Sun in Nov 0200L
                                 
                            
                                
                            
                                
                            
                                
                            
                                
                            
                                
                                    Control Tower Hours
                                    0700-0000L
                                 
                            
                                
                            
                                
                                    Distance from City
                                    3 MILES SW OF CITY
                                 
                            
                                
                            
                                
                            
                                
                            
                                
                            
                     
                 
                
                
             
            
                
                    
                        Runway Diagram
                        
                     
                    
                        FAA Diagram
                        
                     
                    
                        Google Satellite Map of KABY
                        
                        
                     
                 
             
            
            
                
    
        Airport Distance Calculator
    
    
 
    
        
        
        
            The distance from  to  is
                    
            Nautical Miles
         
        
     
    
    
 
                
             
            
                
                        
                            Airport Restrictions and Information
                        
                        
                        
                
             
            
                
                
                        FBOs
                        
                        
                    
                        
                            
                            
                            
                            
                            
                                
                                
                                    
                                        
                                        Fuel Info
                                        
                                            
                                            Brand WORLD FUEL
                                        
                                        
                                        
			
                                            
                                            
                                                
                                            
                                            
                                            
                                                
                                                Prices Not Updated Last 90 DAYS
                                                
                                            
                                        
		 
                                     
                                    
                                    
                                        
                                            
                                            Prices Not Updated Last 90 DAYS